GENERAL POST OFFICE

Other Name

GPO

Location

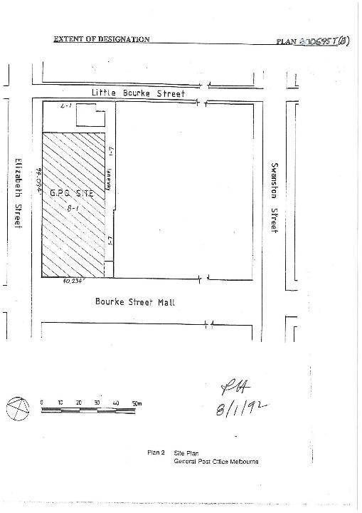
338-352 BOURKE STREET AND 188-218 ELIZABETH STREET AND 323-337 LITTLE BOURKE STREET MELBOURNE, MELBOURNE CITY

File Number

600695

Level

Registered

Statement of Significance

What is significant?

The first General Post Office was built on the corner of Elizabeth and Bourke Streets in 1852, and was replaced by the current much grander building begun in 1859. A competition was held in two parts, for what was described as the ?architectural design? and the ?internal management?. The architects Crouch & Wilson won the first part of the competition but a scandal was caused when the government adopted the second-placed design of A E Johnson. The Chief Architect of the Public Works Department, William Wardell, is also known to have influenced the final design. The initial two storey building was completed by 1867. As a result of severe overcrowding a new design by Johnson added a third storey and tower by 1887, with the work supervised by Peter Kerr of the Public Works Department. The new Mansard roofs gave the building a touch of the French Second Empire style. In 1906-7 additions were made to the Elizabeth Street facade consisting of two storeys and a basement constructed by Swanson Bros. The original intention to extend as far north as Little Bourke Street has never been realised. In 1919 the original sorting hall was converted to public space following designs by two architects, Walter Burley Griffin and J S Murdoch. The General Post Office was the venue for Postal and Telegraphic conferences in 1892 and 1897, in the lead up to Federation, at which the colonial postal authorities discussed rationalising international postal routes to Australia.

How is it significant?

The General Post Office is of historical, architectural and social significance to the State of Victoria.

Why is it significant?

The General Post Office is historically significant as one of the most important public buildings in Victoria. It represents the vital role played by postal communications in the early development of the colony by maintaining links with Britain and Europe, and forming the focus of a network of postal services throughout the dispersed population of Victoria. It also reflects the continuing importance of postal services in the state since 1841. The building is closely associated with the growth of Melbourne and Victoria as a colony and a State. The phases of development and expansion reflect the changing fortunes of the State.

The General Post Office is architecturally significant for its vast scale, unprecedented even in Britain. This is enhanced by the architectural grandeur and location of the building at the heart of Melbourne?s business district. The unified system of the trabeated architectural orders of Doric, Ionic and Corinthian columns and pilasters placed over an arcuated structure belies the buildings construction in several stages over a period of many years. The building's development is associated with several well known and individually recognised architects including Crouch and Wilson, Arthur Ebden Johnson, William Wardell, Walter Burley Griffin and John Smith Murdoch. Despite its incomplete state, the building retains a strong sense of unity and few buildings of the period retain internal spaces of such scale and grandeur in Victoria. The successful redesign of the ground floor, converting it from the original mail room to public space was one of American architect Walter Burley Griffin?s first Australian projects after his successful entry in the Canberra design competition.

The General Post Office is socially significant as a familiar public landmark. The approach stairs and clock tower are city landmarks and have provided the focus in Bourke Street for public meetings, demonstrations, Armistice Day celebrations and New Year's Eve revelries. The building is the point from which distances from Melbourne to other Victorian centres are measured.

Group

Postal and Telecommunications

Category

Post Office